_Fuchs_HSC_Dijiring_Annam_now_Nepiodes_cost_multi.jpg)
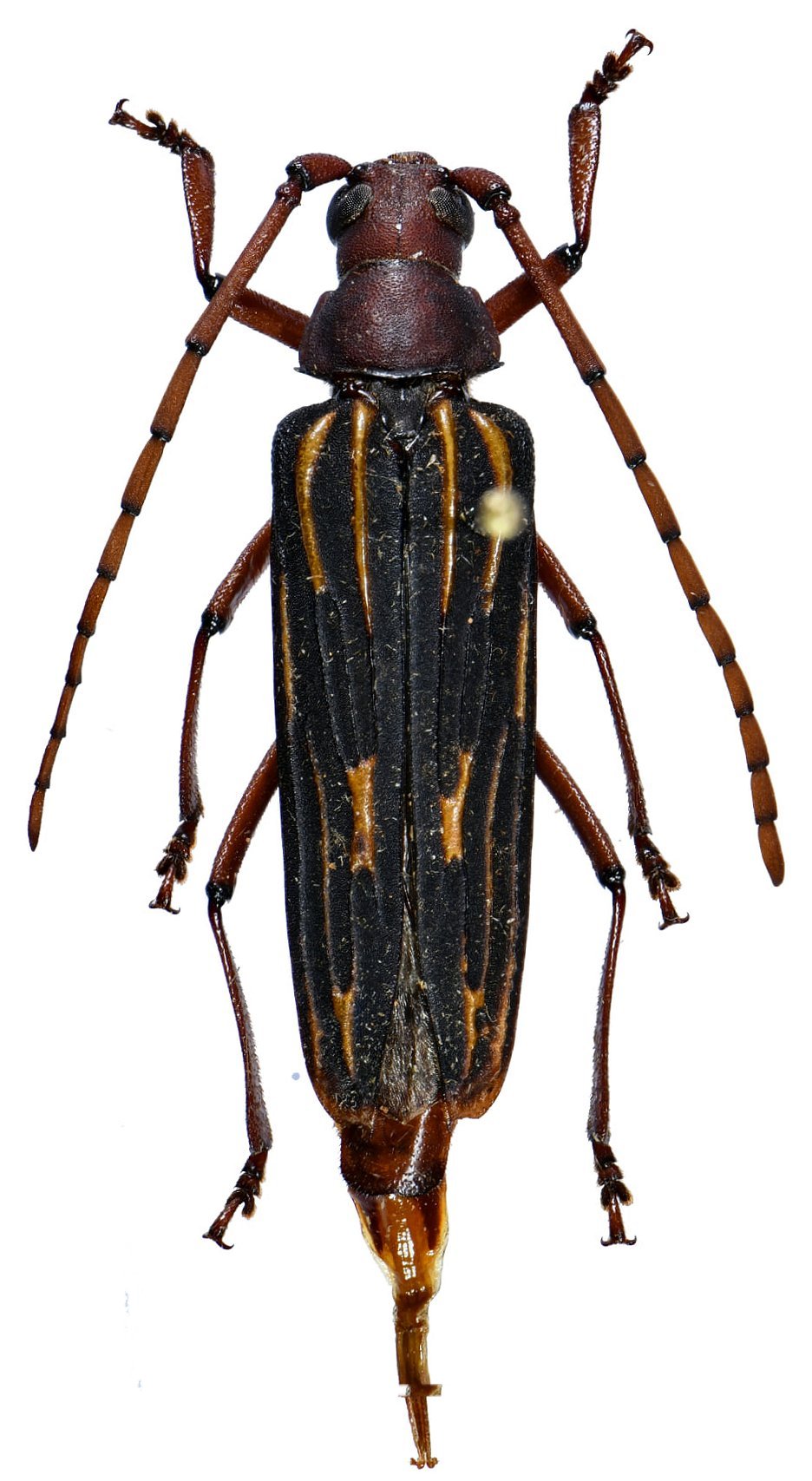
Megopis multicarinatus Fuchs Specimen Type: holotype Sex: m Institution: MNHN Museum of Natural History Paris, France Determiner: Elytra, Tokyo Collection Location: Dijiring, Annam, Vietnam 52301
|
_Fuchs_HSC_Dijiring_Annam_now_Nepiodes_cost_multi.jpg)
Megopis multicarinatus Fuchs Specimen Type: holotype Sex: m Institution: MNHN Museum of Natural History Paris, France Determiner: Elytra, Tokyo Collection Location: Dijiring, Annam, Vietnam 52302
|