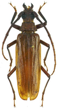
_(Komiya)_Drum_coll_Ban Saleui_Phou_Phan_Hua_Phan_Prov_Laos_NM.jpg)
Sex: m Institution: Drumont Collection Photographer: Noel Mal Collection Location: Ban Saleui, Phou Phan, Hua Phan Province, Laos 70045
|
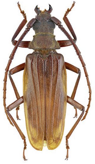
_(Komiya)_Drum_coll_4-6km_E_Ou-Tai_Phongsaly_Prov_Laos_NM.jpg)
Sex: f Institution: Drumont Collection Photographer: Noel Mal Collection Location: 4-6 km E Ou-Tai, Phongsaly Province, Laos 70046
|
_(Komiya)_Yunnan_China.jpg)
Sex: m Collection Location: Yunnan, China 31248
|
_(Komiya)_Yunnan_China.jpg)
Sex: f Collection Location: Yunnan, China 31249
|
 Ngoc Linh, Kon Tum Province, Vietnam LGBC.jpg)
Institution: LGBC Larry G. Bezark Collection, Sacramento, California, USA Photographer: Larry G. Bezark Collection Location: Ngoc Linh, Kon Tum Province, Vietnam 79509
|
|