New Search Family, Subfamily and Tribe List

SubFamily

Tribe Disteniini
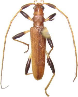
Melegena fulva Pu 1990

Specimen Type: holotype
Sex: m
Institution: IZAS Zoological Institute, Chinese Academy of Sciences, Beijing, China
Photographer: Meiying Lin
Collection Location: Fuzhou, Fujian, China
42894


52339

130425