_Chiang_Wu_SAUC_Wolong_Nat_Res_Sichuan_China_Li_Chen_pic.jpg)
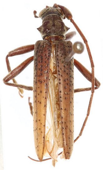
Specimen Type: holotype Sex: m Institution: SAUC Insect Collection of the Southwest Agricultural University, Chongqing, China Photographer: Li & Chen Collection Location: Wolong Natural Reserve, Sichuan Province, China 70477
|
_Chiang_Wu_SAUC_Wolong_Nat_Res_Sichuan_China_Li_Chen_pic.jpg)
Specimen Type: holotype Sex: m Institution: SAUC Insect Collection of the Southwest Agricultural University, Chongqing, China Photographer: Li & Chen Collection Location: Wolong Natural Reserve, Sichuan Province, China 70478
|