_Chiang Wu, 1987, male, from Shaanxi_Lin_pic.jpg)
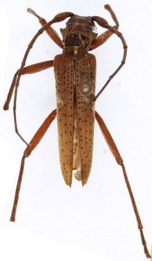
Distenia punctulata Chiang & Wu Specimen Type: holotype Sex: m Institution: SAUC Insect Collection of the Southwest Agricultural University, Chongqing, China Photographer: Meiying Lin Collection Location: Hanzhong, Shaanxi, China 41944
|
_Chiang_Wu_SAUC_Hanzhong_Shaanxi_China_now_punctulatoides_Li_Chen_pic.jpg)
Distenia punctulata Chiang & Wu Specimen Type: holotype Sex: m Institution: SAUC Insect Collection of the Southwest Agricultural University, Chongqing, China Photographer: Li & Chen Collection Location: Hanzhong, Shaanxi, China 70474
|