_Chiang_Chen_SAUC_Gonggar_Xizang_Tibet_China_Li_Chen_pic.jpg)
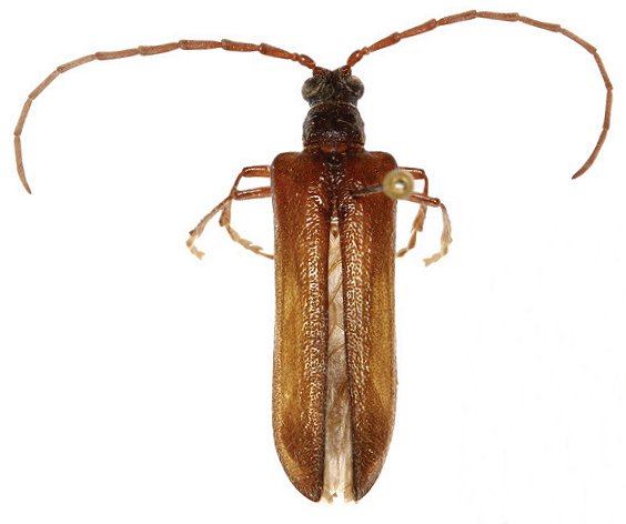
Specimen Type: holotype Sex: m Institution: SAUC Insect Collection of the Southwest Agricultural University, Chongqing, China Photographer: Li & Chen Collection Location: Gonggar, Xizang (Tibet), China 42813
|
_Chiang_Chen_SAUC_Gonggar_Xizang_Tibet_China_Li_Chen_pic.jpg)
Specimen Type: holotype Sex: m Institution: SAUC Insect Collection of the Southwest Agricultural University, Chongqing, China Photographer: Li & Chen Collection Location: Gonggar, Xizang (Tibet), China 70496
|