New Search Family, Subfamily and Tribe List

SubFamily Vesperinae

Tribe Vesperini
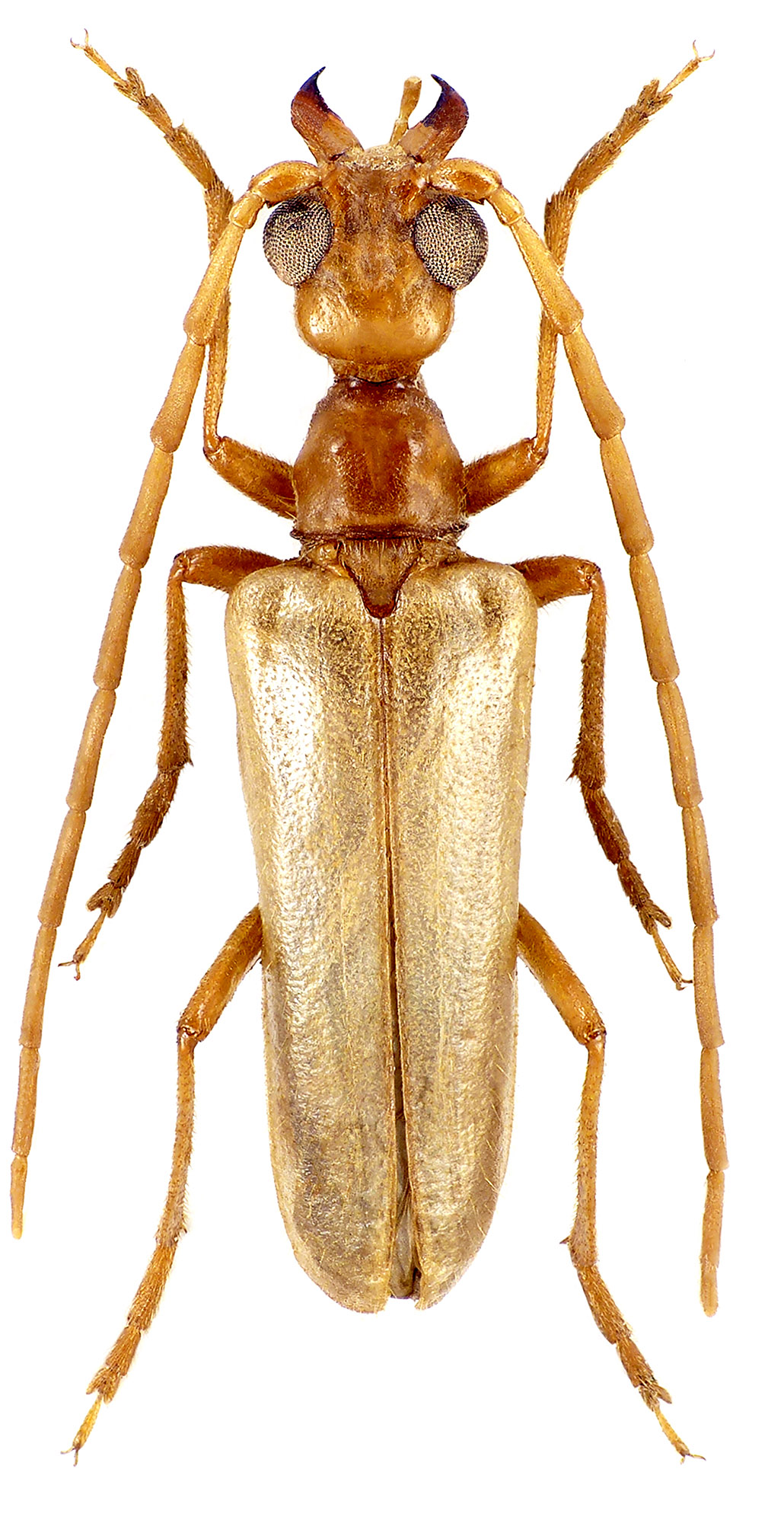
Vesperus macropterus Sama 1999

Sex: m
Photographer: Navratil & Hoskovec
Collection Location: vic Calasetta, Sardinia, Italy
80227

130425