_Hayashi_OMNH_Cameron_Highlands_Malaysia_Shige_Shiyake_pic.jpg)
Specimen Type: holotype Sex: m Institution: OMNH Osaka Museum of Natural History, Japan Photographer: Shige Shiyake Collection Location: Cameron Highlands, Malaysia 58444
|
_Hayashi_OMNH_Cameron_Highlands_Malaysia_Shige_Shiyake_pic.jpg)
Specimen Type: holotype Sex: m Institution: OMNH Osaka Museum of Natural History, Japan Photographer: Shige Shiyake Collection Location: Cameron Highlands, Malaysia 58446
|
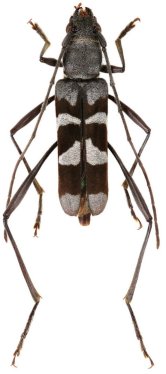
_Hayashi_OMNH_Cameron_Highlands_Malaysia_Shige_Shiyake_pic.jpg)
Specimen Type: holotype Sex: m Institution: OMNH Osaka Museum of Natural History, Japan Photographer: Shige Shiyake Collection Location: Cameron Highlands, Malaysia 58445
|
_Hayashi_Viktora_coll_Cameron_Highlands_Malaysia.jpg)
Sex: f Institution: Viktora Collection Collection Location: Cameron Highlands, Malaysia 58447
|
|