_Bosq_MNRJ_SWL_=_Compsocerus_parviscopus_(Burmeister).jpg)
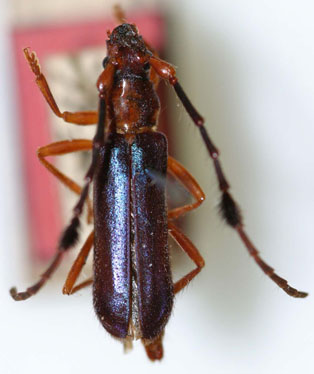
Compsocerus vicinus Bosq Specimen Type: holotype Sex: f Institution: MNRJ Museu Nacional Universidade do Rio Janeiro, Brazil Photographer: Steve Lingafelter Collection Location: San Lorenzo, Salta, Argentina 6049
|
 Rosario de Lerma, Salta Prov, Argentina LGB.jpg)
Institution: LGBC Larry G. Bezark Collection, Sacramento, California, USA Photographer: Larry G. Bezark Collection Location: Rosario de Lerma, Salta Province, Argentina 76364
|

Institution: UCB Essig Museum of Entomology, Berkeley, California, USA Photographer: Larry G. Bezark Collection Location: Argentina 6048
|
|