New Search Family, Subfamily and Tribe List

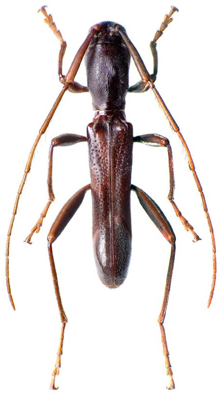
SubFamily Lamiinae

Tribe Desmiphorini
Eugrapheus longehamatus Breuning 1897

Determiner: Faune de Madagascar
Collection Location: Madagascar
40293


Sex: m
Photographer: Ivo Jenis
Collection Location: Isalo Mountains (Ranohira), Madagascar
89339

130425