New Search Family, Subfamily and Tribe List

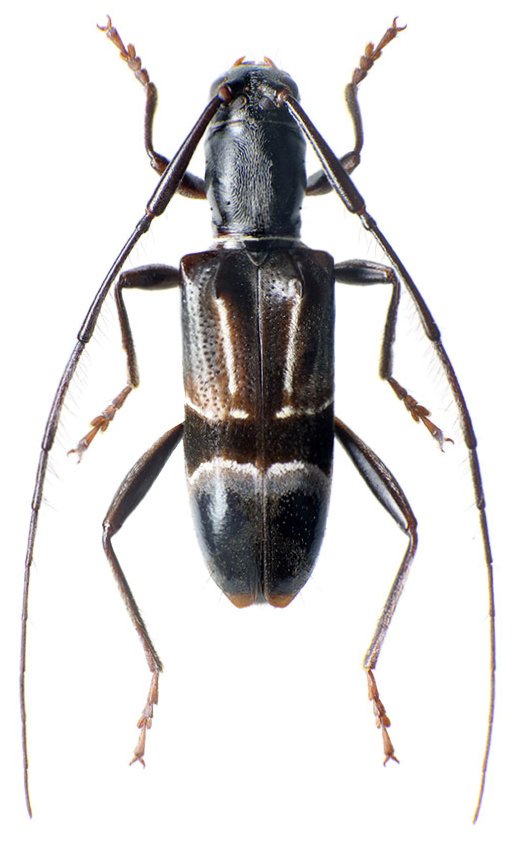
SubFamily Lamiinae

Tribe Desmiphorini
Eugrapheus lineellus Fairmaire 1896

Sex: m
Photographer: Ivo Jenis
Collection Location: Moramanga, Madagascar
89338

130425