_Drumont_Weigel_IRSNB_Lincang_Yunnan_China.jpg)
Specimen Type: holotype Sex: m Institution: IRSNB Royal Belgian Institute of Natural Sciences, Brussels, Belgium Photographer: Noel Mal Collection Location: Mt Daxue Shan, Linchang City, Yunnan Province, China 60595
|
_Drumont_Weigel_IRSNB_Lincang_Yunnan_China.jpg)
Specimen Type: holotype Sex: m Institution: IRSNB Royal Belgian Institute of Natural Sciences, Brussels, Belgium Photographer: Noel Mal Collection Location: Mt Daxue Shan, Linchang City, Yunnan Province, China 60597
|
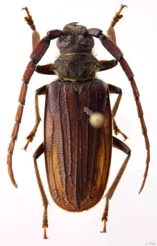
_Drumont_Weigel_IRSNB_Lincang_Yunnan_China.jpg)
Specimen Type: holotype Sex: m Institution: IRSNB Royal Belgian Institute of Natural Sciences, Brussels, Belgium Photographer: Noel Mal Collection Location: Mt Daxue Shan, Linchang City, Yunnan Province, China 60596
|
_Drumont_Weigel_ML.jpg)
Specimen Type: paratype Sex: m Photographer: Meiying Lin 43069
|
_Drumont_Weigel_Hua_Phan_Laos_XG.jpg)
Sex: m Photographer: Xavier Gouverneur, Cerambycoidea Forum Collection Location: Hua Phan, NE Laos 60598
|
|