_Fairmaire_and_Germain_MNHN_Napp_Rev_Bras_Bio_=_Chenoderus.jpg)
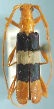
Cycnoderus tricolor Fairmaire & Germain Specimen Type: lectotype Sex: f Institution: MNHN Museum of Natural History Paris, France Collection Location: Cordillères d'Aculco, Chillan, Chile 21084
|
_CAS.jpg)
Institution: CAS California Academy of Sciences, San Francisco, CA, USA Photographer: Larry G. Bezark 5549
|
_Chile_UCB.jpg)
Institution: UCB Essig Museum of Entomology, Berkeley, California, USA Photographer: Larry G. Bezark Collection Location: Chile 5550
|
|