New Search
Family, Subfamily and Tribe List
SubFamily
Apatophyseinae
Tribe
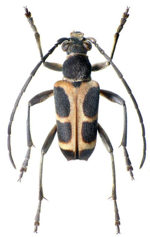
Tomobrachyta nigroplagiata
Fairmaire 1887
Photographer:
Boppe
65059
Sex:
m
Photographer:
Ivo Jenis
Collection Location:
Andasibe (Perinet), Madagascar
89390
130425