New Search Family, Subfamily and Tribe List

SubFamily Apatophyseinae

Tribe
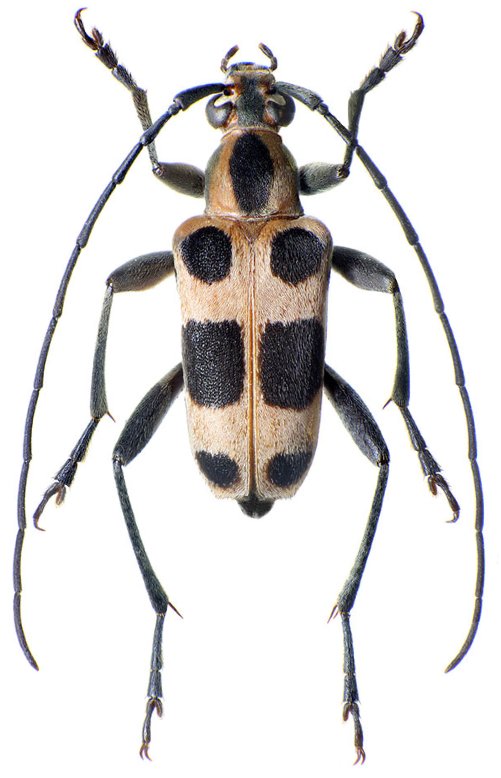
Tomobrachyta jenisi Adlbauer 2001

Specimen Type: holotype
Sex: m
Institution: Adlbauer Collection
Determiner: Les Cahiers Magellanes
Collection Location: Moramanga, Tamatave, Madagascar
65058


Sex: m
Photographer: Ivo Jenis
Collection Location: Moramanga, Madagascar
89389

130425