_Auriv_NHRS_Tengger_Berg_Java.jpg)
Specimen Type: syntype Sex: m Institution: NHRS Naturhistoriska Riksmuseet, Stockholm, Sweden Collection Location: Tengger Berg, Java 66402
|
_Fisher_Indonesia_USNM.jpg)
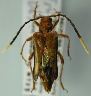
Trypogeus apicalis Fisher Specimen Type: holotype Sex: f Institution: NMNH United States National Museum, Washington, DC, USA Photographer: Steve Lingafelter Collection Location: Mt Tangkoaban Prahoe, Java 66384
|

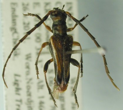
Sex: m Photographer: Makihara Collection Location: W Java, Indonesia 66389
|

Institution: LIPI Lembaga Ilmu Pengetahuan, Bogor, Indonesia Photographer: Larry G. Bezark Collection Location: Mt Halimun Salak National Park, West Java 44432
|

Institution: LIPI Lembaga Ilmu Pengetahuan, Bogor, Indonesia Photographer: Larry G. Bezark Collection Location: Cianjur, West Java 44433
|
|