 Atkinson BMNH Mayidi, RD Congo now Neoploc KM.jpg)
Plocaederus bicoloripes Atkinson Specimen Type: syntype Sex: m Institution: BMNH British Museum Natural History, London, UK Photographer: Keita Matsumoto Collection Location: Mayidi, RD Congo 76404
|
 Atkinson BMNH Mayidi, RD Congo now Neoploc KM.jpg)
Plocaederus bicoloripes Atkinson Specimen Type: syntype Sex: m Institution: BMNH British Museum Natural History, London, UK Photographer: Keita Matsumoto Collection Location: Mayidi, RD Congo 76405
|
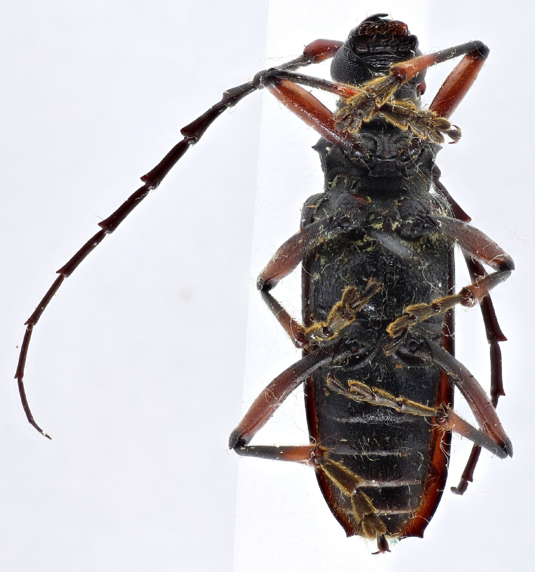
 Atkinson BMNH Mayidi, RD Congo now Neoploc KM.jpg)
Plocaederus bicoloripes Atkinson Specimen Type: syntype Sex: m Institution: BMNH British Museum Natural History, London, UK Photographer: Keita Matsumoto Collection Location: Mayidi, RD Congo 76406
|
|