_Podany_BMNH_WSumatra_nowHuedepohliana_menzel_LGB.jpg)
Euchitonia malayana Podany Specimen Type: holotype Sex: m Institution: BMNH British Museum Natural History, London, UK Photographer: Larry G. Bezark Collection Location: W Sumatra 47563
|
_Podany_BMNH_WSumatra_nowHuedepohliana_menzel_LGB.jpg)
Euchitonia malayana Podany Specimen Type: holotype Sex: m Institution: BMNH British Museum Natural History, London, UK Photographer: Larry G. Bezark Collection Location: W Sumatra 47564
|

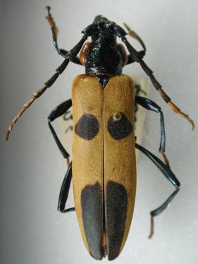
Huedepohliana malayana Podany Institution: LIPI Lembaga Ilmu Pengetahuan, Bogor, Indonesia Photographer: Larry G. Bezark Collection Location: Mt Halimun Salak National Park, West Java 43804
|
_(Ritsema)_Malaysia.jpg)
Sex: f Determiner: Les Cahiers Magellanes Collection Location: Malaysia 43818
|
_(Ritsema).jpg)
Sex: f Determiner: Les Cahiers Magellanes Collection Location: Malaysia 43819
|
_(Ritsema).jpg)
Sex: m Determiner: Les Cahiers Magellanes Collection Location: Malaysia 43820
|