New Search Family, Subfamily and Tribe List

SubFamily Lamiinae

Tribe Lamiini
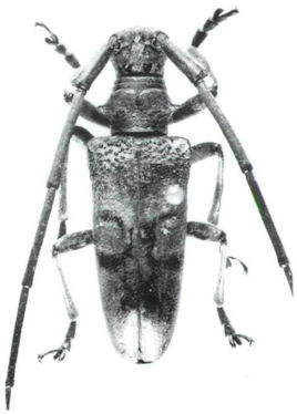
Blepephaeus grisescens Huedepohl 1998

Specimen Type: holotype
Sex: m
Institution: Steinke Collection
Determiner: Entomofauna Zeitschrift für Entomologie
Collection Location: Tenasserim, Myanmar
32944

130425