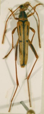
_Holzschuh_CHS_NE_Laos_Hua_Phan_Prov_Phou_Pan.jpg)
Specimen Type: holotype Sex: m Institution: Holzschuh Collection Determiner: Entomologica Basiliensa et Collectionis Frey Collection Location: Phou Pan, Hua Phan Province, NE Laos 51205
|

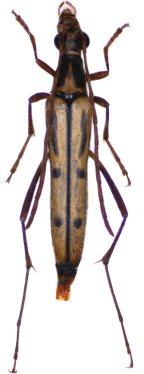
Institution: LGBC Larry G. Bezark Collection, Sacramento, California, USA Photographer: Larry G. Bezark Collection Location: Phou Pan, Hua Phan Province, Laos 49374
|