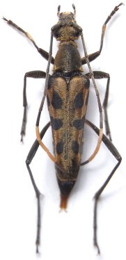
_Holzschuh_CHS_NE_Laos_Hua_Phan_Prov_Phou_Pan.jpg)
Specimen Type: holotype Sex: m Institution: Holzschuh Collection Determiner: Entomologica Basiliensa Collection Location: Mt Phou Pan, Ban Saluei, Hua Phan Province, NE Laos 56050
|

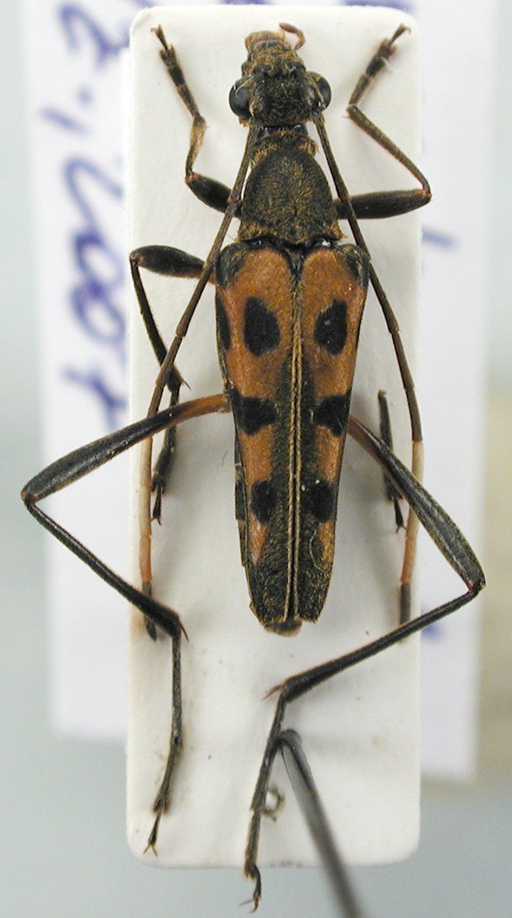
Photographer: Xavier Gouverneur, Cerambycoidea Forum Collection Location: Mt Phou Pan, Ban Saluei, Hua Phan Province, NE Laos 56051
|

Institution: JCPC Jim Cope Collection, San Jose, California, USA now at CSCA, Sacramento Photographer: Larry G. Bezark Determiner: Jim Cope Collection Location: Mt Phu Pan, Hua Phan Province, Laos 99371
|
|