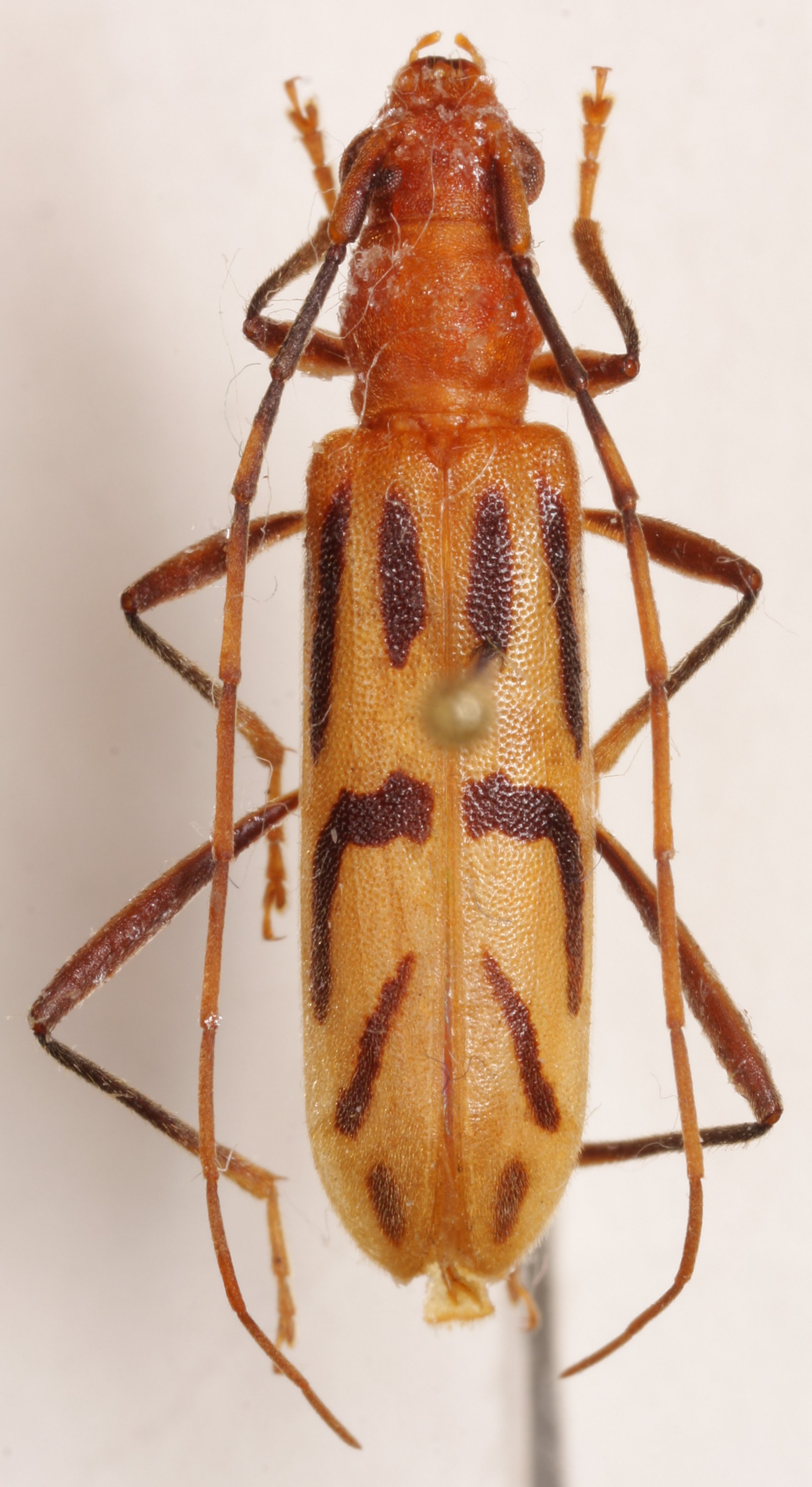
_Vives_Vives_Coll_Trus_Madi_Sabah_Malaysia.jpg)
Specimen Type: holotype Sex: f Institution: Vives collection Determiner: Les Cahiers Magellanes Collection Location: Mt Trus Madi, Sabah, Borneo, Malaysia 34026
|

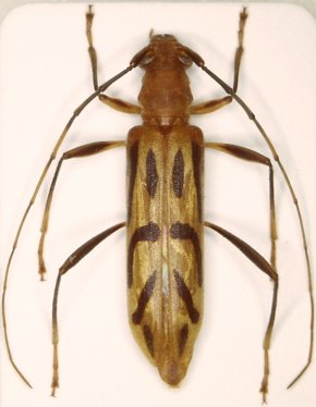
Institution: Heffern Collection Photographer: Dan Heffern Collection Location: Sabah, Borneo 71732
|