_Vives_Transvaal_Museum_Oribi_Gorge_South_Africa.jpg)
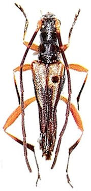
Specimen Type: holotype Sex: m Institution: Transvaal Museum Determiner: Les Cahiers Magellanes Collection Location: Oribi Gorge, South Africa 31323
|
_Vives_Transvaal_Museum_Oribi_Gorge_South_Africa.jpg)
Specimen Type: paratype Sex: f Institution: Transvaal Museum Determiner: Les Cahiers Magellanes Collection Location: Oribi Gorge, South Africa 31324
|