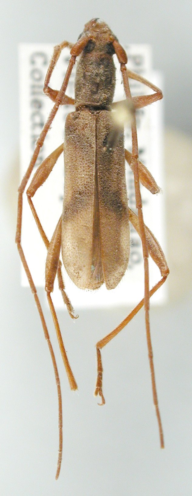
_Vives_Mindanao_Philippines_Cabigas_photo.jpg)
Sex: m Photographer: Estan Cabigas Collection Location: Mindanao, Philippines 60480
|

Institution: JCPC Jim Cope Collection, San Jose, California, USA now at CSCA, Sacramento Photographer: Larry G. Bezark Determiner: Jim Cope Collection Location: Lanao del Sur, Wao, N Mindanao, Philippines 99819
|