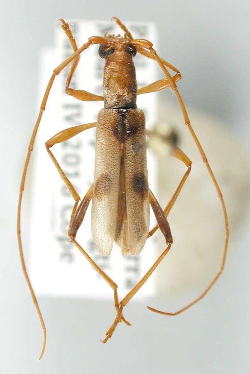
_Vives_EVC_Aurora_Sierra_Madre_Philippines.jpg)
Specimen Type: holotype Sex: m Institution: Vives Collection Determiner: Les Cahiers Magellanes Collection Location: Aurora, Sierra Madre, Mindanao, Philippines 60481
|

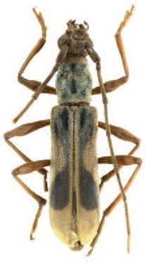
Institution: JCPC Jim Cope Collection, San Jose, California, USA now at CSCA, Sacramento Photographer: Larry G. Bezark Determiner: Jim Cope Collection Location: Sierra Madre, Tapsoy, Nagtipunan, E Luzon, Philippines 99820
|