_Tippmann_USNM.jpg)
Specimen Type: holotype Sex: m Institution: HS Herbert Schmid Collection, Vienna, Austria Photographer: Herbert Schmid Collection Location: El Zapote, Escuintla, Guatemala 26296
|
_Tippmann_SS.jpg)
Sex: m Institution: MZSP Museu de Zoologia da Universidade de São Paulo, Brazil Photographer: Antonio Santos-Silva 68442
|
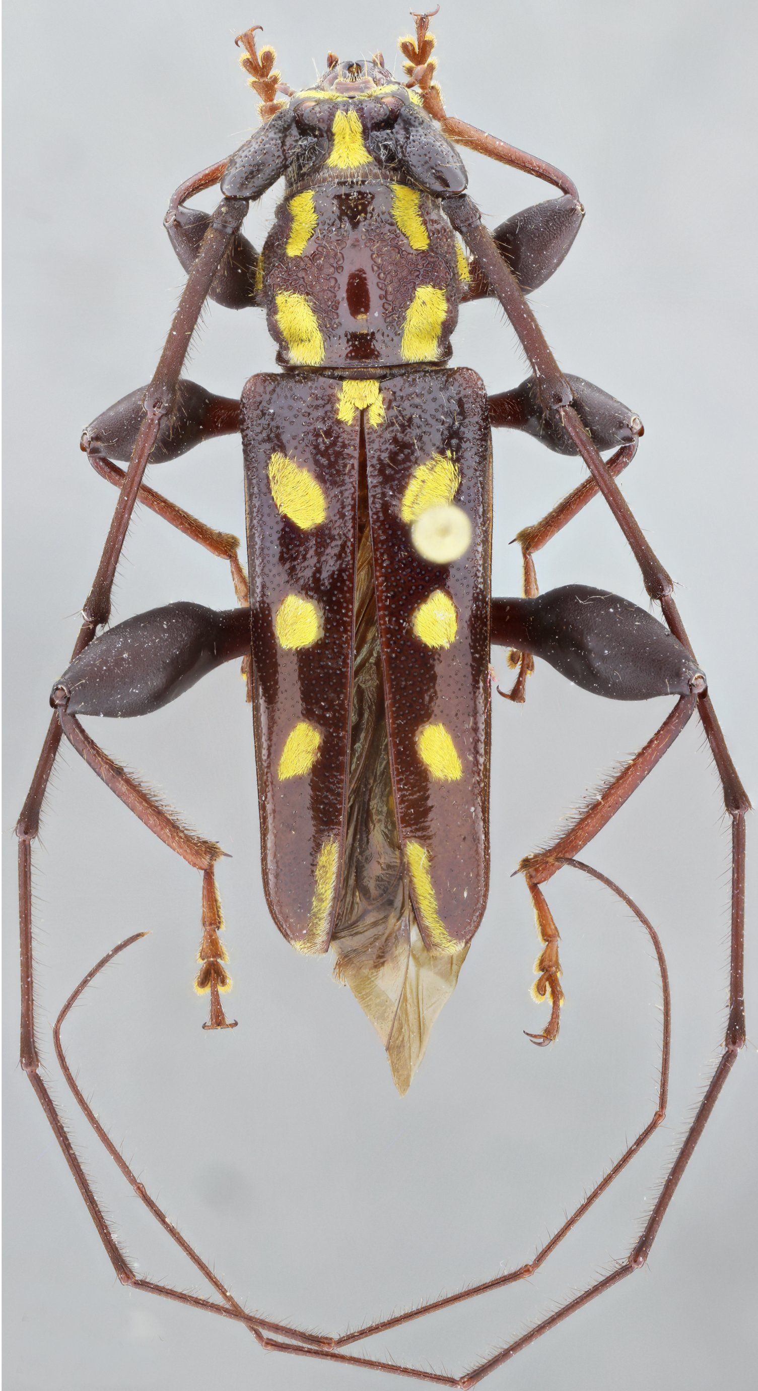
_Tippmann_SS.jpg)
Sex: m Institution: MZSP Museu de Zoologia da Universidade de São Paulo, Brazil Photographer: Antonio Santos-Silva 68443
|
.jpg)
Institution: Washington State University Pullman, Washington Photographer: Larry G. Bezark Collection Location: San Lorenzo, Zacapa, Guatemala 81866
|
 San Lorenzo, Zacapa Guatemala (WSU).jpg)
Institution: Washington State University Pullman, Washington Photographer: Larry G. Bezark Collection Location: San Lorenzo, Zacapa, Guatemala 81867
|
|