New Search Family, Subfamily and Tribe List

SubFamily Cerambycinae

Tribe Xystrocerini
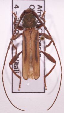
Xystrocera abrupta Aurivillius 1908

Photographer: Carlo Vitali, Cerambycoidea Forum
Collection Location: Cameroon
66900


Photographer: Wolfgang Heinkel
66901


Institution: LGBC Larry G. Bezark Collection, Sacramento, California, USA
Photographer: Larry G. Bezark
66902

130425