New Search Family, Subfamily and Tribe List

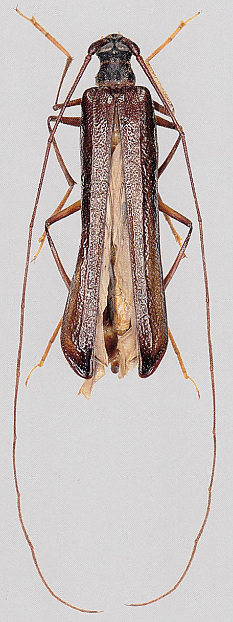
SubFamily Prioninae

Tribe Anacolini
Ethioeme tipuliforme Adlbauer 2008

Specimen Type: holotype
Sex: m
Institution: Adlbauer Collection
Photographer: Karl Adlbauer
Collection Location: Bale, 13 km SW Goba, SE Ethiopia
39183

130425