 Bates MNHN Parana, Brazil now Xystochrom Moure.jpg)
Callichroma gracilipes Bates Specimen Type: holotype Sex: f Institution: MNHN Museum of Natural History Paris, France Photographer: JS Moure Collection Location: Parana, Brazil 15435
|
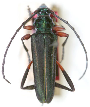
_Zajciw_MNRJ_SWL_=_Xystochroma.jpg)
Callichroma cuprisuturatum Zajciw Specimen Type: holotype Sex: f Institution: MNRJ Museu Nacional Universidade do Rio Janeiro, Brazil Photographer: Steve Lingafelter Collection Location: Periube, Sao Paolo, Brazil 5193
|