New Search Family, Subfamily and Tribe List

SubFamily Cerambycinae

Tribe Oemini
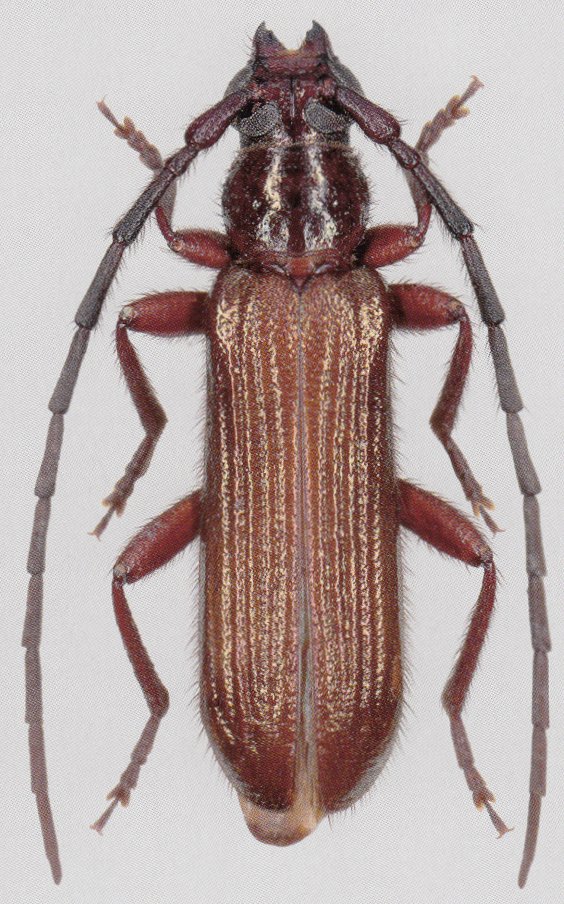
Metallyra nitidicollis (Gestro, 1895)

Sex: m
Photographer: Karl Adlbauer
Collection Location: Ethiopia
72621


Sex: f
Photographer: Karl Adlbauer
Collection Location: Ethiopia
72622

130425