_Huedepohl_Philippines_Negros_Is_Mt_Mandalagan.jpg)
Specimen Type: holotype Sex: m Institution: ZSM Zoologische Staatssammlung, München, Germany Determiner: Entomofauna Zeitschrift für Entomologie Collection Location: Mt. Mandalagan, Negros Island, Philippines 35296
|
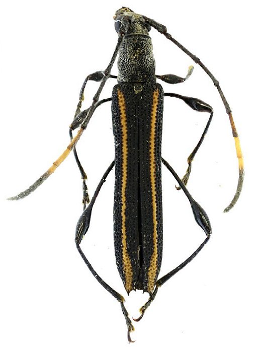
.jpg)
Specimen Type: paratype Institution: LGBC Larry G. Bezark Collection, Sacramento, California, USA Photographer: Larry G. Bezark 35297
|