_(Gerstaecker)_Lambillionea.jpg)
Sex: f 35273
|

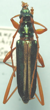
Institution: LGBC Larry G. Bezark Collection, Sacramento, California, USA Photographer: Larry G. Bezark Determiner: Jim Cope 35274
|

Photographer: Mickael Francois, Cerambycoidea Forum Collection Location: Tanzania 35275
|
_Zambia_Mickael_Francois.jpg)
Photographer: Mickael Francois, Cerambycoidea Forum Collection Location: Zambia 48927
|

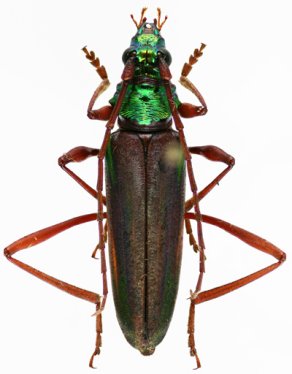
Chromalizus leucorhaphis septentrionalis (Gerstaecker) Photographer: Carlo Vitali, Cerambycoidea Forum Collection Location: Zambia 48928
|
|