New Search Family, Subfamily and Tribe List

SubFamily Cerambycinae

Tribe Smodicini
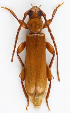
Holorusius crocatus (Pascoe, 1888)

Sex: m
Photographer: Karl Adlbauer
Collection Location: Ethiopia
72541


Sex: f
Photographer: Karl Adlbauer
Collection Location: Ethiopia
72542


Photographer: Mickael Francois, Cerambycoidea Forum
Collection Location: Rungwa Game Reserve, Tanzania
50892


Determiner: Linzer biol. Beitrage
Collection Location: Arba Minch, Ethiopea
50893

130425