New Search Family, Subfamily and Tribe List

SubFamily Cerambycinae

Tribe Cerambycini
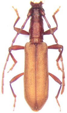
Microderolus tanzaniensis Adlbauer 2003

Specimen Type: holotype
Sex: m
Institution: Holzschuh Collection
Determiner: Les Cahiers Magellanes
Collection Location: Songea, Ruvuma, Tanzania
53550


Sex: f
Collection Location: Ethiopia
53551

130425