 Adlbauer IRSNB Badou, Forêt d'Ahlon, Togo NM2.jpg)
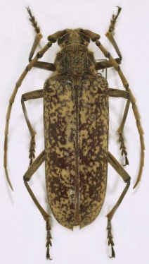
Specimen Type: holotype Sex: m Institution: IRSNB Royal Belgian Institute of Natural Sciences, Brussels, Belgium Photographer: Noel Mal Collection Location: Badou, Forêt d'Ahlon, Togo 39882
|
_Badou_Ahlon_Forest_Plateaux_Togo_ISRNB_NM.jpg)
Specimen Type: holotype Sex: m Institution: IRSNB Royal Belgian Institute of Natural Sciences, Brussels, Belgium Photographer: Noel Mal Collection Location: Badou, Forêt d'Ahlon, Togo 39883
|