_Adlbauer_Seychelles_Cahiers.jpg)
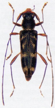
Nethinius madli Adlbauer Specimen Type: holotype Sex: f Institution: NMW Naturhistorisches Museum, Wien, Austria Determiner: Les Cahiers Magellanes Collection Location: Seychelles Islands 54408
|
_Aurivillius.jpg)
Specimen Type: syntype Institution: BMNH British Museum Natural History, London, UK Determiner: Annals & Magazine of Natural History Collection Location: Seychelle Islands 53600
|