New Search Family, Subfamily and Tribe List

SubFamily Cerambycinae

Tribe Callichromatini
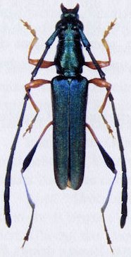
Hypocrites bicolor (Adlbauer, 2002)

Closteromerus bicolor Adlbauer
Specimen Type: holotype
Sex: m
Institution: Adlbauer Collection
Determiner: Les Cahiers Magellanes
Collection Location: Sagala Hills, Kenya
35473

130425