_Bates_BMNH_Santo_Domingo_Chontales_Nicaragua_SS_photo.jpg)
Specimen Type: lectotype Sex: m Institution: BMNH British Museum Natural History, London, UK Photographer: JS Moure Collection Location: Santo Domingo, Chontales, Nicaragua 27044
|
_Bates_BMNH_JAC_=_Schwarzerion_holochlorum_holochlorum.jpg)
Specimen Type: lectotype Sex: m Institution: BMNH British Museum Natural History, London, UK Photographer: John Chemsak Collection Location: Santo Domingo, Chontales, Nicaragua 15436
|
 Bates MNHN Chiriqui, Panama now holo holo Moure.jpg)
Callichroma chiriquina Bates Specimen Type: lectotype Sex: m Institution: MNHN Museum of Natural History Paris, France Photographer: JS Moure Collection Location: Chiriqui, Panama 77215
|
_Casey_USNM_=_Schwarzerion_holo_holo.jpg)
Callichroma compressipes Casey Specimen Type: holotype Sex: m Institution: NMNH United States National Museum, Washington, DC, USA Collection Location: Escuintla, Guatemala 25590
|
 Casey NMNH Escuintla, Guatemala now holo holo Moure.jpg)
Callichroma compressipes Casey Specimen Type: holotype Sex: m Institution: NMNH United States National Museum, Washington, DC, USA Photographer: JS Moure Collection Location: Escuintla, Guatemala 15430
|
 Bates MNHN Javali, Nicaragua now holo holo Moure.jpg)
Callichroma opiparum Bates Specimen Type: holotype Sex: m Institution: MNHN Museum of Natural History Paris, France Photographer: JS Moure Collection Location: Javali, Nicaragua 77216
|
_Casey_NMNH_JAC_=_Schwarzerion_holochlorum_holochlorum.jpg)
Callichroma regalis Casey Specimen Type: syntype Institution: NMNH United States National Museum, Washington, DC, USA Photographer: John Chemsak 15443
|
_Casey_USNM_=_Schwarzerion_holo_holo.jpg)
Callichroma regalis Casey Specimen Type: syntype Institution: NMNH United States National Museum, Washington, DC, USA 25591
|
 Casey NMNH now holo holo Moure3.jpg)
Callichroma regalis Casey Specimen Type: syntype Institution: NMNH United States National Museum, Washington, DC, USA Photographer: JS Moure 100511
|
.jpg)
13171
|
_BCA.jpg)
Institution: BCA Biologia Centrali Americana 13172
|
.jpg)
Schwarzerion holochlorum regalis Casey Institution: UCB Essig Museum of Entomology, Berkeley, California, USA Photographer: Larry G. Bezark Determiner: Giesbert Collection Location: Chiapas, Mexico 13174
|

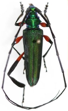
Photographer: Steve Lingafelter Collection Location: Nicaragua 26544
|
|