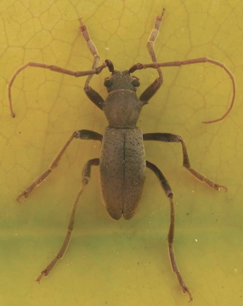
_Adlbauer_TVM_Hogsback_Eastern_Cape_RSA.jpg)
Specimen Type: holotype Institution: TMP Transvaal Museum of Natural History, Pretoria, South Africa Collection Location: Hogsback, Eastern Cape, Republic South Africa 32320
|
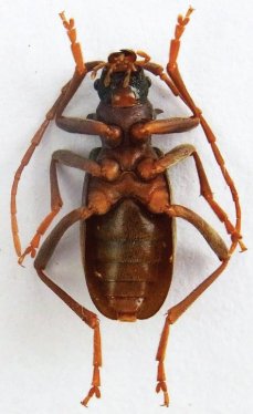
_Adlb_Hogsback_RSA_Lynette_Clennell_photo.jpg)
Sex: f Photographer: Lynette Clennell Collection Location: Hogsback, South Africa 58476
|
_Adlb_Hogsback_RSA_Lynette_Clennell_photo.jpg)
Sex: f Photographer: Lynette Clennell Collection Location: Hogsback, South Africa 58477
|

Photographer: Lynette Clennell Collection Location: Hogsback Forestry, East Cape, South Africa 78870
|
|