_Auriv_BMNH_Dominica_WI_nowMionochoma_LGB.jpg)
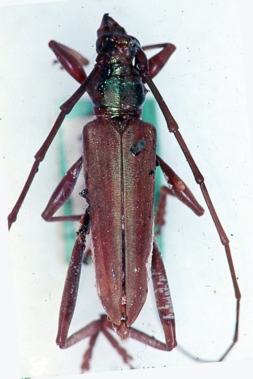
Callichroma elegans var gahani Aurivillius Specimen Type: lectotype Sex: m Institution: BMNH British Museum Natural History, London, UK Photographer: Larry G. Bezark Collection Location: Dominica, West Indies 46444
|
 BMNH now Mionochroma Moure.jpg)
Cerambyx elegans Olivier Specimen Type: compared with type Institution: BMNH British Museum Natural History, London, UK Photographer: JS Moure Collection Location: Dominica, West Indies 100524
|
_(Olivier)_Guadeloupe_Touroult_photo.jpg)
Sex: f Photographer: Julien Touroult Collection Location: Guadeloupe 23023
|
_(Olivier)_Guadeloupe_Touroult_photo.jpg)
Sex: m Photographer: Julien Touroult Collection Location: Guadeloupe 23024
|
_Det_Martins_Trinidad_UCB.jpg)
Institution: UCB Essig Museum of Entomology, Berkeley, California, USA Photographer: Larry G. Bezark Determiner: Martins Collection Location: Trinidad 10076
|
|