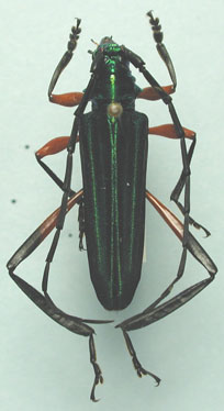
 Bates MNHN Minas Gerais, Brazil now iris tri Moure.jpg)
Callichroma trilineatum Bates Specimen Type: lectotype Sex: f Institution: MNHN Museum of Natural History Paris, France Photographer: JS Moure Collection Location: Minas Gerais, Brazil 27060
|
_LGB.jpg)
Photographer: Larry G. Bezark 6627
|
_(Bates)_IRSNB_45km_W_Buga_Vaille_Calima_Colombia_NM5.jpg)
Institution: RBINS Royal Belgian Institute of Natural Sciences, Brussels, Belgium Photographer: Noel Mal Collection Location: 45 km W Buga Vaille, Calima Valley, Colombia 65287
|
_(Bates)_IRSNB_45km_W_Buga_Vaille_Calima_Colombia_NM5.jpg)
Institution: RBINS Royal Belgian Institute of Natural Sciences, Brussels, Belgium Photographer: Noel Mal Collection Location: 45 km W Buga Vaille, Calima Valley, Colombia 65288
|
_IRSNB_45km_W_Buga_Vaille_Calima_Colombia_NM5.jpg)
Institution: RBINS Royal Belgian Institute of Natural Sciences, Brussels, Belgium Photographer: Noel Mal Collection Location: 45 km W Buga Vaille, Calima Valley, Colombia 65289
|
|