 Aurivillius NHRS Mojos, San Martin, Bolivia now velutinum Moure.jpg)
Callichroma nigricans Aurivillius Specimen Type: syntype Sex: m Institution: NHRS Naturhistoriska Riksmuseet, Stockholm, Sweden Photographer: JS Moure Collection Location: Mojos, San Martin, Bolivia 27046
|
 Aurivillius NHRS Mojos, San Martin, Bolivia now velutinum Moure.jpg)
Callichroma nigricans Aurivillius Specimen Type: syntype Sex: m Institution: NHRS Naturhistoriska Riksmuseet, Stockholm, Sweden Photographer: JS Moure Collection Location: Mojos, San Martin, Bolivia 100506
|
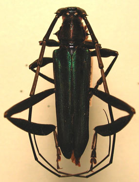
 Bates MNHN Manaus, Rio Negro, Amazonas, Brazil now velut Moure.jpg)
Callichroma porphyrogenitum Bates Specimen Type: holotype Sex: m Institution: MNHN Museum of Natural History Paris, France Photographer: JS Moure Collection Location: Manaus, Rio Negro, Amazonas, Brazil 100510
|
.jpg)
5207
|
_LGB.jpg)
Photographer: Larry G. Bezark 5208
|

Collection Location: Bolivia 22522
|
_Faure_French_Guiana.jpg)
Photographer: Denis Faure Collection Location: French Guiana 21675
|
|