 Fuchs IRSNB Muzo, Boyaca, Colombia.jpg)
Specimen Type: syntype Sex: m Institution: IRSNB Royal Belgian Institute of Natural Sciences, Brussels, Belgium Photographer: Herbert Schmid Collection Location: Muzo, Boyaca, Colombia 77217
|
 Fuchs Herbert Schmidt collection.jpg)
Specimen Type: syntype Institution: HS Herbert Schmid Collection, Vienna, Austria Photographer: Herbert Schmid Collection Location: Colombia 21457
|
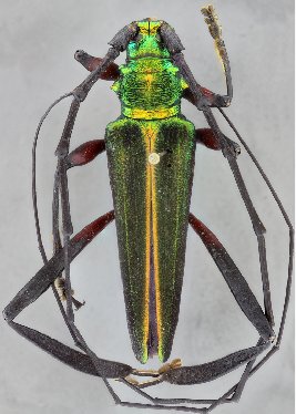
 Fuchs Schmid coll Muzo, Boyaca, Colombia.jpg)
Specimen Type: syntype Sex: f Institution: Schmid Collection Photographer: Herbert Schmid Collection Location: Muzo, Boyaca, Colombia 77218
|
 Fuchs Schmid coll Muzo, Boyaca, Colombia.jpg)
Specimen Type: syntype Sex: m Institution: Schmid Collection Photographer: Herbert Schmid Collection Location: Muzo, Boyaca, Colombia 77219
|
_Napp_Mart_Territorio_Vasquez_Boyaca_Colombia_SS.jpg)
Callichroma magnificum Napp & Martins Specimen Type: holotype Sex: m Institution: MZSP Museu de Zoologia da Universidade de São Paulo, Brazil Photographer: Antonio Santos-Silva Collection Location: Territorio Vasquez, Boyaca, Colombia 60621
|
_Napp_Mart_Territorio_Vasquez_Boyaca_Colombia_SS.jpg)
Callichroma magnificum Napp & Martins Specimen Type: holotype Sex: m Institution: MZSP Museu de Zoologia da Universidade de São Paulo, Brazil Photographer: Antonio Santos-Silva Collection Location: Territorio Vasquez, Boyaca, Colombia 60622
|
_Napp_and_Martins_MZSP_Boyaca_Colombia_SS_photo.jpg)
Callichroma magnificum Napp & Martins Specimen Type: holotype Sex: m Institution: MZSP Museu de Zoologia da Universidade de São Paulo, Brazil Photographer: Antonio Santos-Silva Collection Location: Territorio Vasquez, Boyaca, Colombia 27045
|
_Napp_Mart_Chalan_Sucre_Colombia_SS.jpg)
Sex: f Photographer: Antonio Santos-Silva Collection Location: Chalan, Sucre, Colombia 60623
|
_Napp_Mart_Chalan_Sucre_Colombia_SS.jpg)
Sex: f Photographer: Antonio Santos-Silva Collection Location: Chalan, Sucre, Colombia 60624
|
_Napp_Mart_Chalan_Sucre_Colombia_SS.jpg)
Sex: f Photographer: Antonio Santos-Silva Collection Location: Chalan, Sucre, Colombia 60625
|