New Search Family, Subfamily and Tribe List

SubFamily Cerambycinae

Tribe Rhinotragini
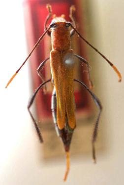
Laedorcari vestitipennis (Zajciw, 1963)

Specimen Type: paratype
Sex: f
Institution: MNRJ Museu Nacional Universidade do Rio Janeiro, Brazil
Photographer: Steve Lingafelter
Collection Location: Corcovado, Rio de Janeiro, Brazil
14739

130425