New Search Family, Subfamily and Tribe List

SubFamily

Tribe Disteniini
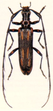
Saphanodes juheli Adlbauer 2007

Specimen Type: paratype
Sex: f
Determiner: Les Cahiers Magerllanes
Collection Location: Malawi
60578


Determiner: Les Cahiers Magerllanes
Collection Location: Zambia
60579

130425