New Search Family, Subfamily and Tribe List

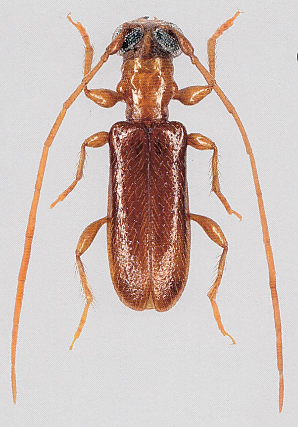
SubFamily Cerambycinae

Tribe Obriini
Obrium bartolozzii Adlbauer 2002

Specimen Type: paratype
Determiner: Les Cahiers Magellanes
54927


Sex: m
Photographer: Karl Adlbauer
Collection Location: Ethiopia
72691

130425