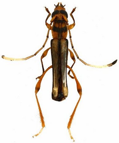
_Zajciw_MNRJ_SWL_=_Xenocrasis.jpg)
Odontocera politipennis Zajciw Specimen Type: holotype Sex: f Institution: MNRJ Museu Nacional Universidade do Rio Janeiro, Brazil Photographer: Steve Lingafelter Collection Location: Tabatinga, Amazonas, Brazil 10993
|
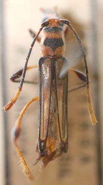
_Det_Tavakilian_as_Odontocera.jpg)
Institution: UCB Essig Museum of Entomology, Berkeley, California, USA Determiner: Tavakilian Collection Location: Id'd as Odontocera 14738
|