_(White)_Transvaal_Cahiers_42.jpg)
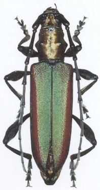
Sex: m Determiner: Les Cahiers Magellanes Collection Location: Transvaal, South Africa 54966
|
 Transvaal South Africa JCPC LGBC.jpg)
Institution: JCPC Jim Cope Collection, San Jose, California, USA now at CSCA, Sacramento Photographer: Larry G. Bezark Determiner: Jim Cope Collection Location: Transvaal South Africa 99297
|