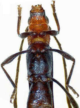
_Zajciw_MNRJ_SWL_=_Xenocrasis_fulvicollis_(Lacordaire).jpg)
Xenocrasis obscuripennis Zajciw Specimen Type: holotype Sex: m Institution: MNRJ Museu Nacional Universidade do Rio Janeiro, Brazil Photographer: Steve Lingafelter Collection Location: Corcovado, Rio de Janeiro, Brazil 14736
|
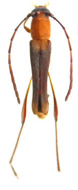
_Tippmann_HS_Cochabamba_Bolivia_=_Laedorcari_fulv.jpg)
Ommata rubroscutellaris Tippmann Specimen Type: holotype Sex: f Institution: HS Herbert Schmid Collection, Vienna, Austria Photographer: Antonio Santos-Silva Collection Location: Chapare, Cochabamba, Bolivia 34839
|
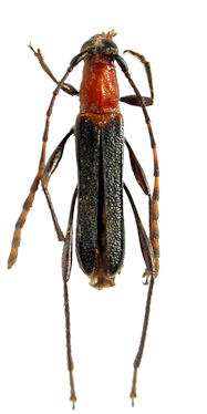
_Tippmann_HS_Cochabamba_Bolivia_=_Laedorcari_fulv.jpg)
Ommata rubroscutellaris Tippmann Specimen Type: holotype Sex: f Institution: HS Herbert Schmid Collection, Vienna, Austria Photographer: Antonio Santos-Silva Collection Location: Chapare, Cochabamba, Bolivia 34840
|
_Tippmann_HS_Cochabamba_Bolivia_=_Laedorcari_fulv.jpg)
Ommata rubroscutellaris Tippmann Specimen Type: holotype Sex: f Institution: HS Herbert Schmid Collection, Vienna, Austria Photographer: Antonio Santos-Silva Collection Location: Chapare, Cochabamba, Bolivia 34841
|
_Lacordaire_IRSN_Brazil_=_Laedorcari.jpg)
Specimen Type: lectotype Sex: f Institution: IRSNB Royal Belgian Institute of Natural Sciences, Brussels, Belgium Photographer: Antonio Santos-Silva Collection Location: Brazil 30752
|
_(Tippmann)_SS.jpg)
Sex: m Photographer: Antonio Santos-Silva 30864
|
_Det_Fragoso_Corcovado_Brazil_UCB.jpg)
Institution: UCB Essig Museum of Entomology, Berkeley, California, USA Photographer: Larry G. Bezark Determiner: Fragoso Collection Location: Corcovado, Rio de Janeiro, Brazil 14735
|
_(Lacordaire)_SS.jpg)
Sex: m Photographer: Antonio Santos-Silva 30749
|
_(Lacordaire)_BMNH_Shute_photo.jpg)
Sex: f Institution: BMNH British Museum Natural History, London, UK Photographer: Sharon Shute 30750
|
_(Lacordaire)_BMNH_Shute_photo.jpg)
Sex: f Institution: BMNH British Museum Natural History, London, UK Photographer: Sharon Shute 30751
|
|