New Search Family, Subfamily and Tribe List

SubFamily Cerambycinae

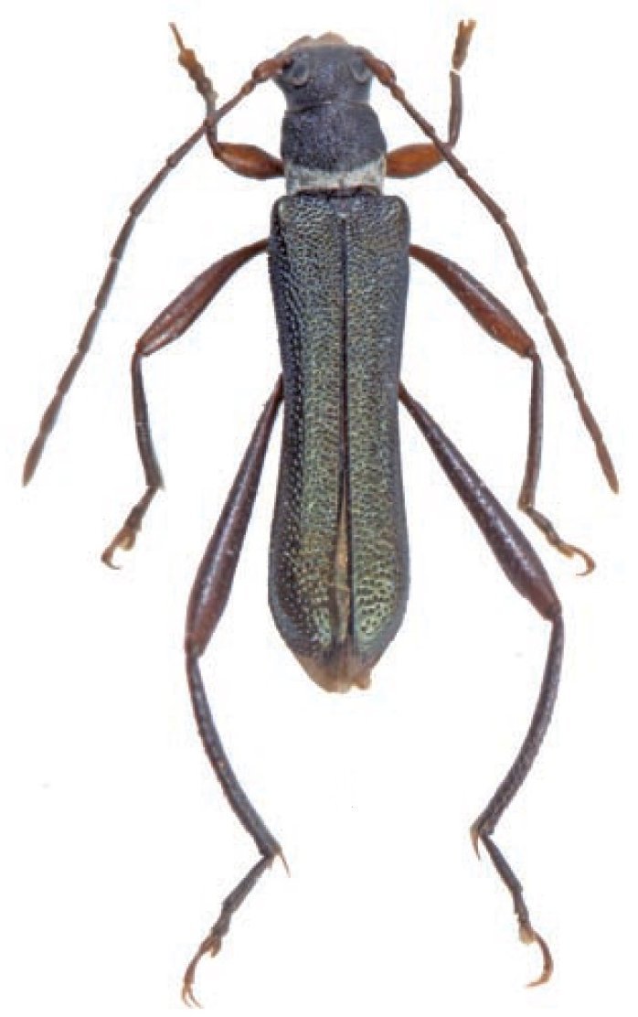
Tribe Stenopterini
Microdebilissa cameronensis Tichư 2019

Specimen Type: holotype
Sex: m
Institution: BMNH British Museum Natural History, London, UK
Photographer: Tomas Tichy
Collection Location: Cameron Highlands, SE of Tanah Rata, Pahang, Malaysia
80324

130425